不斷更新/防範中度颱風「杜蘇芮」彭啟明這麼說

圖/擷取自氣象達人彭啟明臉書
圖/擷取自氣象達人彭啟明臉書

記者楊允曦/綜合報導

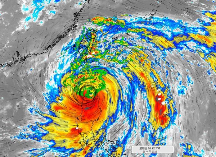
(2023/7/26 10:26 更新)開了眼的中度颱風「杜蘇芮」來勢洶洶,中央氣象局表示,過去3小時中心近似滯留打轉,目前在呂宋島北部近海,預計未來仍將向西北轉北北西移動暴風圈已進入巴士海峽近海,對臺南、高雄、臺東、屏東、恆春半島將構成威脅。對此,氣象專家彭啟明稍早也在臉書上貼出6大重點,請民眾做好防颱準備。

圖/擷取自氣象達人彭啟明臉書
圖/擷取自氣象達人彭啟明臉書

彭啟明今(26)早在臉書上PO文表示「今天風雨會持續加大,暴風圈可能通過的縣市朋友們,真的要提高警覺,做好準備。其他地方也會有陣雨,風速漸增」!除此之外,也告知「杜蘇芮」的六大重點。

  1. 杜蘇芮颱風正逐漸靠近台灣海峽,影響日益加大。
  2. 預期今晚,恆春半島、台東、高屏等區域將進入暴風圈,強風豪雨可能出現。
  3. 明天,颱風將繼續西北移動,預計傍晚至午夜期間最接近台灣西南沿岸。
  4. 週五上午,颱風可能會在金門西南方的沿海登陸,颱風警報有可能解除。
  5. 花東地區、恆春半島、南高屏,以及外島的風雨情況將逐漸加大。
  6. 週五以後,颱風影響將逐漸減小,但天氣仍不穩定,需注意可能的局部大雷雨。

交通部表示,受杜蘇芮颱風影響,今日截至10:00為止,國內線航班取消47架次,國際暨兩岸航線取消4架次。除此之外,台鐵表示南迴線(高雄-臺東間)17時00分以後將有對號列車停駛,枋寮-臺東間區間車17時00分以後視風雨狀況機動行駛,因應颱風變化,乘客出門前,可上各官網查詢。


26日各縣市停班課狀況:

北部地區
台北市:26日正常上班、上課
新北市:26日正常上班、上課
基隆市:26日正常上班、上課
桃園市:26日正常上班、上課
新竹市:26日正常上班、上課
新竹縣:26日正常上班、上課
中部地區
苗栗縣:26日正常上班、上課
台中市:26日正常上班、上課
彰化縣:26日正常上班、上課
雲林縣:26日正常上班、上課
南投縣:26日正常上班、上課
南部地區
嘉義縣:26日正常上班、上課
嘉義市:26日正常上班、上課
台南市:26日正常上班、上課
高雄市:26日正常上班、上課
屏東縣:26日正常上班、上課
東部地區
宜蘭縣:26日正常上班、上課
花蓮縣:26日正常上班、上課
台東縣:26日正常上班、上課
外島地區
連江縣:26日正常上班、上課
金門縣:26日正常上班、上課
澎湖縣:26日正常上班、上課


 

guest
0 留言
Inline Feedbacks
View all comments